
Algemeen
Doordat de floridamot (Spodoptera exigua) tegen praktisch alle insecticiden resistent is geworden en het insect zich zomers ook in onkruidvegetaties kan ontwikkelen, vormt hij voor telers een regelmatig terugkerend probleem. Hij is zeer polyfaag en voedt zich met planten uit meer dan 20 families. Het is een belangrijk plaaginsect in kassen, waar hij zich voedt met siergewassen zoals chrysant, gerbera, roos en potplanten. Zowel in de kas als buiten vormt hij een ernstige plaag in paprika.
Levenscyclus en uiterlijk van de floridamot
De floridamot (Spodoptera exigua) is vrij onopvallend. Hij houdt zich overdag schuil en wordt pas ’s avonds actief. De voorvleugels zijn grijsbruin met een donkerbruine of zwarte gloed. De kop en het borststuk zijn bruin en het achterlijf is grijsbruin. Op de voorvleugels heeft de mot een geelachtige, niervormige vlek. Op de witte achtervleugels steken de bruine aders duidelijk af.
De eieren van de floridamot (Spodoptera exigua) worden afgezet in eispiegels, soms in meerdere lagen op elkaar, met daarop een laag witte, pluizige haren en schilfers afkomstig van het lichaam van de mot. De eieren worden ’s nachts bij voorkeur aan de onderkant van de bladeren afgezet in groepjes van 10 tot 250 stuks.
Na enkele dagen komen de eieren uit en verschijnen er kleine, vaal geelgroene rupsen. Na verloop van tijd worden deze geel, groen, bruin of zelfs zwart. De kleur en het patroon van de rupsen zijn erg variabel en hangen gedeeltelijk af van de waardplant, het ontwikkelingsstadium en het klimaat. Een volgroeide rups van de floridamot (Spodoptera exigua) kan 25 tot 38 mm groot worden. Op de rug zijn donkere, gekronkelde strepen waarneembaar. Aan de zijkanten zit een gele band met op elk segment een zwarte stip.
De jonge rupsen leven in groepen en spinnen losse webben over de bladeren waar ze tot het derde of vierde stadium onder verblijven. De oudere rupsen verspreiden zich over het gewas, waarbij ze aanzienlijke afstanden kunnen afleggen. Daardoor kunnen rupsen uit hetzelfde eicluster schade veroorzaken op diverse plaatsen in het gewas. De rupsen van de floridamot (Spodoptera exigua) eten voornamelijk ‘s nachts en houden zich overdag schuil. Alleen de jongere stadia eten overdag. Volgroeide rupsen verplaatsen zich naar de grond om te verpoppen. De verpopping vindt meestal vlak onder het grondoppervlak plaats in een los gesponnen cocon, maar soms ook in het gewas. De rups vormt de cocon door gronddeeltjes bij elkaar te lijmen met een slijmerige uitscheiding. De poppen zijn bruin en 15 tot 20 mm lang en lijken op die van de andere Noctuidae-soorten. Na vijf tot tien dagen kruipt de volwassen mot uit de pop.
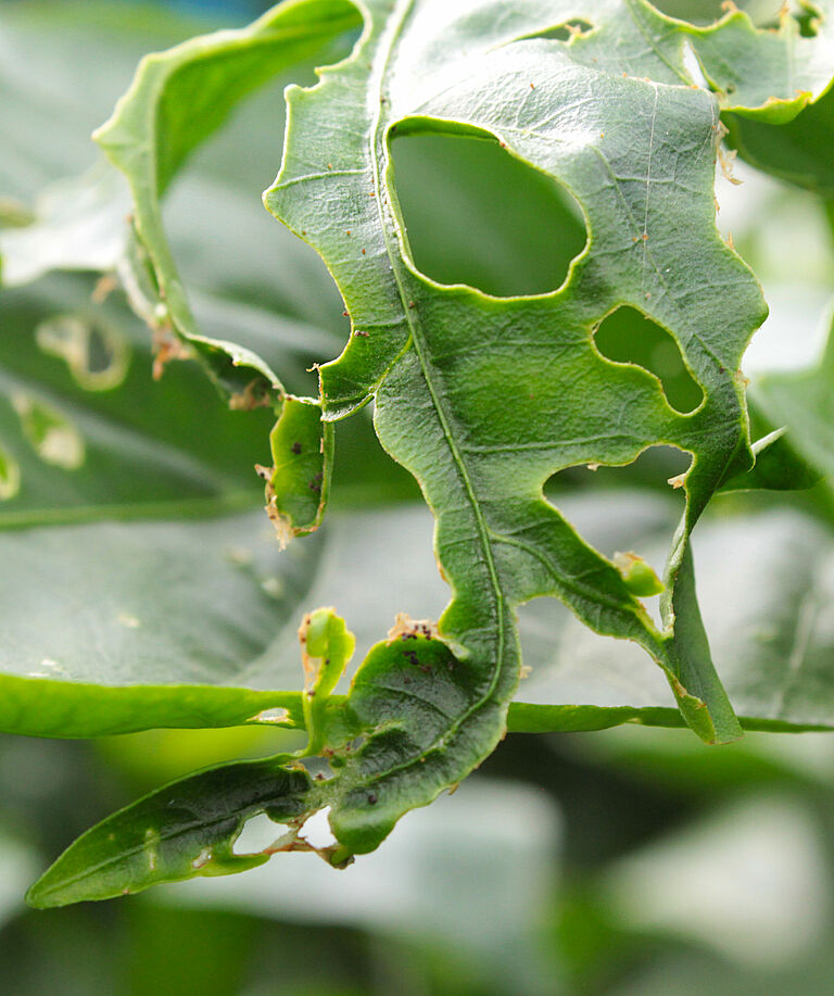
Schadebeelden
Oudere rupsen migreren naar de kop van de plant, waar ze vooral aan de groeipunten vreten. Ze vreten grote gaten in het blad en laten soms alleen de hoofdnerf staan. Ook bloemen en bloemknoppen worden aangetast. Deze grootschalige aantasting heeft ernstige gevolgen voor de verdere ontwikkeling van het gewas. Bij een flinke populatie rupsen kan de vraat zich uitbreiden naar de stengel en in het ergste geval naar de vruchten, waarbij ze vaak de volledige binnenkant ervan wegvreten. In sierteeltgewassen vormt de aantasting van bloemen en bloemknoppen de grootste schade.




























